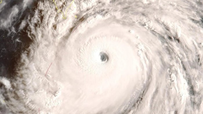
Böen bis zu 265 km/h
Super-Taifun „Ragasa“ legt Flughafen Hongkong lahm
Wegen des heranziehenden Super-Taifuns „Ragasa“ wird der internationale Flughafen von Hongkong für 36 Stunden geschlossen. Das hat die Fluglinie Quantas am Montag mitgeteilt. Der Sturm steuert mit gefährlichen Böen von bis zu 265 km/h und Starkregen auf die nördlichen Philippinen zu.
Der Flugbetrieb in Hongkong werde von Dienstagabend (Ortszeit) bis zum Donnerstagmorgen eingestellt, teilte Qantas mit. Eine Sprecherin der dortigen Flughafenbehörde erklärte, man beobachte die Entwicklung des Taifuns und habe mit den Vorbereitungen darauf begonnen.
Eine offizielle Ankündigung zur Schließung gab es jedoch zunächst nicht. Die Einwohner von Hongkong trafen ebenfalls Vorkehrungen für den Taifun. Vor Supermärkten, in denen Produkte wie z.B. Milch bereits ausverkauft waren, bildeten sich lange Schlangen. Auf Märkten wurde für Gemüse mehr als das Dreifache des normalen Preises verlangt.
Schulen geschlossen, höchste Taifun-Warnung
Auf den Philippinen wurden am Montag die Arbeit und der Unterricht in der Hauptstadt Manila und weiten Teilen des Landes eingestellt, da sich „Ragasa“ auf die nördliche Hauptinsel Luzon zubewegt. Tausende Menschen sind bereits aus ihren Häusern geflüchtet, während der Tropensturm immer näher rückt.
Die Behörden gaben die höchste Taifun-Warnung für die abgelegenen Babuyan-Inseln aus und forderten die Bewohner auf, sich vor Sturmfluten und Überschwemmungen in Sicherheit zu bringen. Fluggesellschaften strichen mehr als ein Dutzend Inlandsflüge, Fährverbindungen wurden eingestellt
Die Situation könne für die Bewohner „sehr zerstörerisch“ sein und „extreme Auswirkungen“ haben, warnte die Behörde. Betroffen sind vor allem die Provinzen Cagayan, Isabela und Batanes sowie weitere Gebiete im Norden von Luzon, der größten Insel des südostasiatischen Landes. In 20 Provinzen gilt Sturmwarnung, die Behörden rechnen mit enormen Regenmengen, meterhohen Sturmfluten und schweren Schäden durch orkanartige Böen.
Mindestens 16 Inlands- sowie internationale Flüge wurden bereits gestrichen. Präsident des Landes, Ferdinand Marcos Jr., kündigte an, dass bereits alle Notfallkräfte in Alarmbereitschaft seien.
Vorbereitungen auf Sturm in China
In Südchina und Hongkong, wo der Tropensturm laut Meteorologen am Dienstag und Mittwoch laut an der Küste entlang ziehen dürfte, trafen die Behörden bereits erste Vorsichtsmaßnahmen. In der Provinz Guangdong entschied die Stadt Jiangmen, ab Dienstag den Betrieb in Schulen und Arbeitsstätten sowie den öffentlichen Nahverkehr ausfallen zu lassen.
Laut dem Lokalfernsehen könnten auch die Millionenmetropolen Guangzhou und Shenzhen ähnliche Schritte erwägen. In Hongkong sagten mehrere Airlines weitere Flüge aus und in die Finanzmetropole ab. Die Regierung der chinesischen Sonderverwaltungsregion rief die Menschen in besonders niedrigen Gegenden auf, sich wegen drohender Überflutungen auf den Taifun vorzubereiten.
Super-Taifune gehören zu den stärksten und gefährlichsten tropischen Wirbelstürmen. Die Philippinen werden jedes Jahr von durchschnittlich etwa 20 Taifunen heimgesucht. Der besonders schlimme Sturm „Haiyan“ hatte im November 2013 mehr als 6300 Menschen das Leben gekostet.
Kommentare
Willkommen in unserer Community! Eingehende Beiträge werden geprüft und anschließend veröffentlicht. Bitte achten Sie auf Einhaltung unserer Netiquette und AGB. Für ausführliche Diskussionen steht Ihnen ebenso das krone.at-Forum zur Verfügung. Hier können Sie das Community-Team via unserer Melde- und Abhilfestelle kontaktieren.
User-Beiträge geben nicht notwendigerweise die Meinung des Betreibers/der Redaktion bzw. von Krone Multimedia (KMM) wieder. In diesem Sinne distanziert sich die Redaktion/der Betreiber von den Inhalten in diesem Diskussionsforum. KMM behält sich insbesondere vor, gegen geltendes Recht verstoßende, den guten Sitten oder der Netiquette widersprechende bzw. dem Ansehen von KMM zuwiderlaufende Beiträge zu löschen, diesbezüglichen Schadenersatz gegenüber dem betreffenden User geltend zu machen, die Nutzer-Daten zu Zwecken der Rechtsverfolgung zu verwenden und strafrechtlich relevante Beiträge zur Anzeige zu bringen (siehe auch AGB). Hier können Sie das Community-Team via unserer Melde- und Abhilfestelle kontaktieren.







