Millionen evakuiert
Monstersturm „Ragasa“ fordert schon zig Tote
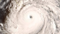
Mit Windgeschwindigkeiten von über 200 Kilometern pro Stunde und massiven Regenfällen hat Super-Taifun „Ragasa“ in Asien schwere Verwüstungen angerichtet. Mindestens 27 Menschen kamen ums Leben, zahlreiche weitere wurden verletzt. Besonders hart traf es den osttaiwanesischen Landkreis Hualien, wo am Dienstagabend (Ortszeit) ein Staudamm überlief und ganze Ortschaften überflutete.
Nach Behördenangaben starben dort mindestens 17 Menschen, die meisten von ihnen ältere Bewohner des Dorfes Guangfu. Fernsehaufnahmen zeigten Sturzfluten aus Schlamm, die zwischen Häusern hindurchschossen und eine Brücke mit sich rissen.
Eine Frau berichtete unter Tränen, dass ihre 87-jährige Mutter keine Chance zur Flucht hatte und im Haus von den Wassermassen eingeschlossen wurde. Mehr als 30 Menschen wurden verletzt, die Zahl der Vermissten sank im Laufe des Tages von 124 auf unter 20. Zur Unterstützung entsandte Taiwan rund 5.000 Soldaten und mehr als 100 Militärfahrzeuge.
Nächster Tropensturm nimmt schon Kurs
Bereits zuvor hatte der Sturm auf den Philippinen mindestens zehn Menschen das Leben gekostet, darunter mehrere Fischer, deren Boot bei hohem Wellengang kenterte. Insgesamt waren mehr als 190.000 Menschen in dem Inselstaat betroffen.
Unterdessen warnte die Wetterbehörde Pagasa, dass mit „Bualoi“ bereits ein weiterer Tropensturm Kurs auf die Philippinen nimmt und voraussichtlich am Freitag die Region Bicol im Südosten der Hauptinsel Luzon treffen könnte.
Am Mittwochnachmittag (Ortszeit) erreichte „Ragasa“ schließlich Südchina mit Taifun-Kategorie 2. In der Provinz Guangdong wurden vorsorglich mehr als eine Million Menschen in Sicherheit gebracht. Viele Städte stellten den öffentlichen Nahverkehr ein, Schulen und Betriebe blieben geschlossen. Auch in Hongkong kam das öffentliche Leben weitgehend zum Stillstand: Die Behörden riefen die höchste Taifun-Warnstufe zehn aus und meldeten mindestens 82 Verletzte.
Am Flughafen Hongkong fielen Hunderte Flüge aus. Die Fluggesellschaften stellten den Betrieb ein und flogen rund 80 Prozent ihrer Maschinen aus Sicherheitsgründen aus, unter anderem nach Japan, China und Kambodscha. Cathay Pacific strich nach eigenen Angaben mehr als 500 Flüge, kündigte aber an, den Betrieb ab Donnerstag schrittweise wieder aufzunehmen.
Meteorologen rechnen damit, dass sich „Ragasa“ auf seinem Weg nach Westen abschwächt. In der Nacht auf Freitag (Ortszeit) dürfte der Taifun den Norden Vietnams erreichen. Die Behörden dort warnen vor Starkregen und Überschwemmungen. Besonders problematisch: Kurz nach „Ragasa“ wird auch der Sturm „Bualoi“ in der Region erwartet, was die Gefahr von Überschwemmungen und Zerstörungen weiter erhöht.









Willkommen in unserer Community! Eingehende Beiträge werden geprüft und anschließend veröffentlicht. Bitte achten Sie auf Einhaltung unserer Netiquette und AGB. Für ausführliche Diskussionen steht Ihnen ebenso das krone.at-Forum zur Verfügung. Hier können Sie das Community-Team via unserer Melde- und Abhilfestelle kontaktieren.
User-Beiträge geben nicht notwendigerweise die Meinung des Betreibers/der Redaktion bzw. von Krone Multimedia (KMM) wieder. In diesem Sinne distanziert sich die Redaktion/der Betreiber von den Inhalten in diesem Diskussionsforum. KMM behält sich insbesondere vor, gegen geltendes Recht verstoßende, den guten Sitten oder der Netiquette widersprechende bzw. dem Ansehen von KMM zuwiderlaufende Beiträge zu löschen, diesbezüglichen Schadenersatz gegenüber dem betreffenden User geltend zu machen, die Nutzer-Daten zu Zwecken der Rechtsverfolgung zu verwenden und strafrechtlich relevante Beiträge zur Anzeige zu bringen (siehe auch AGB). Hier können Sie das Community-Team via unserer Melde- und Abhilfestelle kontaktieren.